Mikkola, Alajärvi Menkijärvi, Alajärvi
Asianajotoimisto Antti Kallio Ky myy
109 000 €
6 tarjousta
12 pv 5 t
Aikaa jäljellä
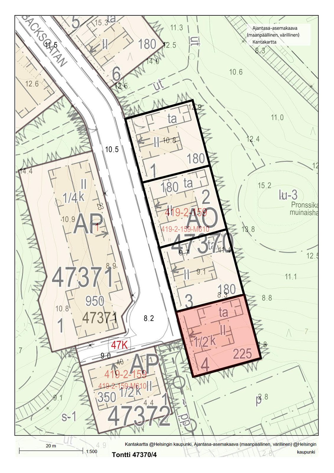
Omakotitalotontti Mellunkylän Tankomäessä, tontti 47370/4, Tankomäenkatu 38, pinta-ala 466 m2, rakennusoikeus 225 k-m2, Helsinki

Omakotitalotontti Mellunkylän Tankomäessä, tontti 47370/4, Tankomäenkatu 38, pinta-ala 466 m2, rakennusoikeus 225 k-m2, Helsinki
Kiinnostavimmat
Ford 6610 4x4 kuormaajalla. Siisti! 1986, Oulu
Ulosmitattu omakotitalo Sinilähteellä, Heinola
KORJAAMORAKENNUS PIHA-ALUEINEEN JA RANTASAUNA 3 ha, Juva
Yanmar Vio 70, 2000 kaivinkone, Askola
JCB 803 Plus, 1999, Iisalmi
Effer 165 nosturi ja kaupanpäälle Sisu SK200 kuorma-auto, Kouvola
Asianajotoimisto Antti Kallio Ky myy
109 000 €
6 tarjousta
12 pv 5 t
Aikaa jäljellä
Ulosottolaitos, Porin toimipaikka myy
50 500 €
24 tarjousta
29 pv 5 t
Aikaa jäljellä
Elisa Oyj myy
30 201 €
126 tarjousta
12 pv 3 t
Aikaa jäljellä
Huittisten kaupunki myy
700 €
4 tarjousta
54 pv 8 t
Aikaa jäljellä
Heinolan kaupunki myy
150 000 €
Lähtöhinta
40 pv 7 t
Aikaa jäljellä
Lapin metsäkiinteistöt OY LKV myy
5 500 €
26 tarjousta
13 pv 5 t
Aikaa jäljellä
Elisa Oyj myy
1 500 €
10 tarjousta
12 pv 4 t
Aikaa jäljellä