Mikkola, Alajärvi Menkijärvi, Alajärvi
Asianajotoimisto Antti Kallio Ky myy
109 000 €
6 tarjousta
12 pv 4 t
Aikaa jäljellä
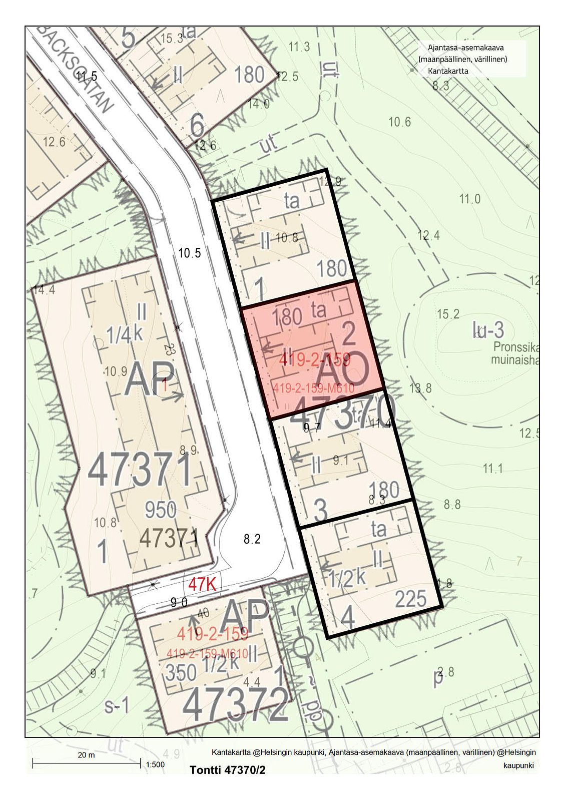
Omakotitalotontti Mellunkylän Tankomäessä, tontti 47370/2, Tankomäenkatu 34, pinta-ala 462 m2, rakennusoikeus 180 k-m2, Helsinki

Omakotitalotontti Mellunkylän Tankomäessä, tontti 47370/2, Tankomäenkatu 34, pinta-ala 462 m2, rakennusoikeus 180 k-m2, Helsinki
Asianajotoimisto Antti Kallio Ky myy
109 000 €
6 tarjousta
12 pv 4 t
Aikaa jäljellä
Ulosottolaitos, Porin toimipaikka myy
50 500 €
24 tarjousta
29 pv 4 t
Aikaa jäljellä
Elisa Oyj myy
30 201 €
126 tarjousta
12 pv 2 t
Aikaa jäljellä
Huittisten kaupunki myy
700 €
4 tarjousta
54 pv 7 t
Aikaa jäljellä
Heinolan kaupunki myy
150 000 €
Lähtöhinta
40 pv 6 t
Aikaa jäljellä
Lapin metsäkiinteistöt OY LKV myy
5 500 €
26 tarjousta
13 pv 4 t
Aikaa jäljellä
Elisa Oyj myy
1 500 €
10 tarjousta
12 pv 2 t
Aikaa jäljellä